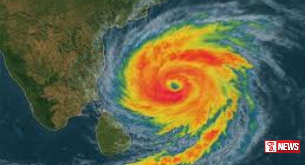
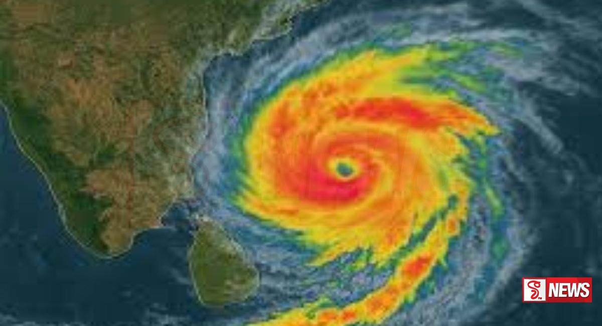
සුළි කුණාටු තත්ත්වය දිවයිනෙන් බැහැරට ගමන් කිරීමත් සමග සෘජු බලපෑම් ඉවත් වුවද, වක්ර බලපෑම් තවදුරටත් පවතින බව කාලගුණ විද්යා දෙපාර්තමේන්තුවේ අධ්යක්ෂ ජනරාල් අතුල කරුණානායක මහතා පවසනවා.
ඒ හේතුවෙන් උතුර, උතුරු මැද, ඊසාන දිග සහ මධ්යම පළාතේ ඇතැම් ස්ථානවලට මි.මි 100 ඉක්මවන වර්ෂාපතනයක් ලැබීමේ හැකියාව පවතිනවා.
මීට අමතරව බස්නාහිර සහ සබරගමුව පළාත්වලට මි.මි 50 ඉක්මවන වර්ෂාපතනයක් ලැබෙන අතර අනෙක් පළාත්වලද තැනින් තැන වැසි හෝ ගිගුරුම් සහිත වැසි තත්ත්වයන් නිර්මාණය වන බව ඔහු පෙන්වා දුන්නා.
කෙසේ වෙතත් අධික වර්ෂාපතනය අඩු වුවද ආපදා තත්ත්වය තවමත් පහව ගොස් නොමැති බැවින් සිය නිවෙස් කරා යාමෙන් වළකින ලෙස කාලගුණ විද්යා දෙපාර්තමේන්තුවේ අධ්යක්ෂ ජනරාල් අතුල කරුණානායකමහතා සහන කඳවුරුවල සිටින ජනතාවගෙන් ඉල්ලා සිටිනවා.
සුළි කුණාටු තත්ත්වය හේතුවෙන් සිදු වූ විදුලි රැහැන් පද්ධති කඩා වැටීම් තවමත් සම්පූර්ණයෙන් යථා තත්ත්වයට පත් කර නොමැති අතර අදාළ ආයතන විසින් ඒ පිළිබඳ නිසි දැනුම් දීමක් සිදුකරන තුරු ඒ පිළිබඳ අවධානයෙන් කටයුතු කරන ලෙසද ඔහු දැනුම් දුන්නා.
මෙම වක්ර බලපෑමද නොවැම්බර් 30 වනදා වන විට දිවයිනෙන් බැහැර වනු ඇති බවත්, ඉන් පසුව සාමාන්ය කාලගුණික රටාවක් ඇති වනු ඇති බවත්, ඒ මහතා විහේශ ප්රකාශයක් සිදු කරමින් සදහන් කළා.
උණුසුම් පුවත්
- “SkillUPGov” Youtube නාලිකාව ජනගත කෙරෙයි
- මෙන්න මේ ප්රදේශවලට මිලිමීටර් 75ට වැඩි වැසි
- හිරු ටීවී ක්රියා කලාපය ගැන ඇමැති ලාල්කාන්තගෙන් ජනමාධ්ය ලේකම්වරයාට පැමිණිල්ලක්
- ඉදිරි කාලගුණ තත්ත්වය ගැන නිවේදනයක්
- නාවලපිටිය දොළොස්බාගේ මාර්ගය වැසි ජලයෙන් යටවෙයි
- ගනේමුල්ලේ සංජීවගේ ගෝලයෙක් ඉන්දියාවේදී අල්ලයි
- පළාත් තුනකට සහ දිස්ත්රික්ක පහකට විශේෂ නිවේදනයක්
- දැඩි උණුසුම් කාලගුණය ගැන නිවේදනයක්













