Close Menu
වී Newsවී News
    උණුසුම් පුවත්

    වියට්නාම ජනපති අද දිවයිනට

    2026-05-07

    ප්‍රදේශ කිහිපයකට මිලිමීටර් 50ට වැඩි වැසි

    2026-05-04

    පිස්තෝලයක් සමග සැකකරුවෙක් අත්අඩංගුවට

    2026-05-04
    Facebook Instagram YouTube
    උණුසුම් පුව​ත්
    • වියට්නාම ජනපති අද දිවයිනට
    • ප්‍රදේශ කිහිපයකට මිලිමීටර් 50ට වැඩි වැසි
    • පිස්තෝලයක් සමග සැකකරුවෙක් අත්අඩංගුවට
    • යාපනයේ පුද්ගල ඝාතනයක්
    • “SkillUPGov” Youtube නාලිකාව ජනගත කෙරෙයි
    • මෙන්න මේ ප්‍රදේශවලට මිලිමීටර් 75ට වැඩි වැසි
    • හිරු ටීවී ක්‍රියා කලාපය ගැන ඇමැති ලාල්කාන්තගෙන් ජනමාධ්‍ය ලේකම්වරයාට පැමිණිල්ලක්
    • ඉදිරි කාලගුණ තත්ත්වය ගැන නිවේදනයක්
    • අපි​ට ලියන්න, කතාකරන්​න
    Facebook Instagram YouTube
    වී Newsවී News
    ඉරිදා, මැයි 24
    • මුල් පිටුව
    • දේශීය පුව​ත්
    • ක්‍රී​ඩා
    • විදේශීය පුවත්
    • රස බ​ර
    වී Newsවී News

    මුල් පිටු​ව » දිට්වා සුලි කුණාටුව ඉදිරි පැය කිහිපයේදී ඉන්දියාවට- හෙට සිට වැසි තත්ත්වයේ අඩුවක්

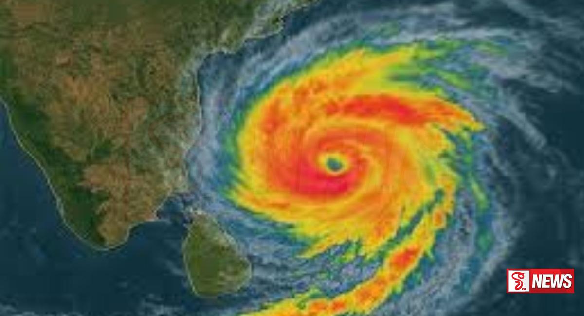
    දිට්වා සුලි කුණාටුව ඉදිරි පැය කිහිපයේදී ඉන්දියාවට- හෙට සිට වැසි තත්ත්වයේ අඩුවක්

    2025-11-29කියවීමට මිනිත්තු 2ක් ගතවේ.34 නැරඹු​ම්
    බෙදාගන්​න
    Facebook Twitter LinkedIn Pinterest Email Telegram WhatsApp

    පවතින වැසි සහිත කාලගුණ තත්ත්වයේ සැලකිය යුතු අඩුවීමක් හෙට සිට අපේක්ෂා කරන බව කාලගුණ විද්‍යා දෙපාර්තමේන්තුව පවසනවා.
    නවතම නිවේදනයක් නිකුත් කරමින් එම දෙපාර්තුමේන්තුව මේ බව සදහන් කළා.
    දිට්වා සුළි කුණාටුව උතුරට බරව වයඹ දෙසට ගමන්කර නොවැම්බර් මස 30 වෙනිදා වනවිට ඉන්දියාවේ තමිල්නාඩු වෙරළ තීරයට ළඟාවනු ඇතැයි ද අපේක්ෂා කෙරෙනවා.
    එම දෙපාර්තමේන්තුව වැඩිදුරටත් සඳහන් කළේ, එම පද්ධතිය ඊයේ දින ප.ව. 11:30 වන විට ත්‍රිකුණාමලය සිට කිලෝමීටර් 70ක් වයඹ දෙසින්, අක්ෂාංශ 9.0 සහ දේශාංශ 80.8 ආසන්නයේ කේන්ද්‍රගතව වී තිබූ බවයි..
    කාලගුණවිද්‍යා දෙපාර්තමේන්තුව මඟින් මේ සම්බන්ධව නිකුත් කරන ඉදිරි නිවේදන පිළිබඳ අවධානය යොමුකරන ලෙසද ජනතාවට දැනුම්දෙනවා..
    මේ අතර අද දිනයේ උතුරු, උතුරු-මැද, මධ්‍යම සහ වයඹ පළාත්වල නිරන්තර වැසි හෝ ගිගුරුම් සහිත වැසි ඇති විය හැකියි.
    ඇතැම් ස්ථානවලට මි.මී. 100ට වැඩි තද වැසි ඇතිවිය හැකි බවයි එම දෙපාර්තුමේන්තුව සදහන් කළේ.
    සබරගමුව සහ බස්නාහිර පළාත් සහ ගාල්ල සහ මාතර දිස්ත්‍රික්කවල විටින්විට වැසි හෝ ගිගුරුම් සහිත වැසි ඇත වන බවද එම දෙපාර්තුමේන්තුව පවසනවා.
    සබරගමුව සහ බස්නාහිර පළාත්වල ඇතැම් ස්ථානවලට මි.මී. 50ට වැඩි තරමක තද වැසි ඇති විය හැකියි.
    දිවයිනේ බොහෝ ප්‍රදේශවල පැ.කි.මී. 60-70 දක්වා වන ඉතා තද සුළං සමඟ විටින් විට පැ.කි.මී. 80-90 දක්වා වන ප්‍රහාරාත්මක සුළං ඇතිවිය හැකි බවද එම දෙපාර්තුමේන්තුව අවධාරණය කරනවා.
    තද වැසි සහ තද සුළං මඟින් සිදුවන අනතුරු අවම කරගැනීමට අවශ්‍ය පියවර ගන්නා ලෙසයි කාලගුණවිද්‍යා දෙපාර්තමේන්තුව ජනතාවට දැනුම් දෙන්නේ.
    මේ පවතින කාළගුණ තත්ත්වය සම්බන්ධයෙන් අදහස් දැක්වූ කාළගුණ විද්‍යා දෙපාර්තුමේන්තුවේ අණාවැකි අංශයේ නියෝජ්‍ය අධ්‍යක්ෂ ප්‍රීතිකා ජයකොඩි මහත්මිය.

    ආශ්‍රීත පුවත්:  නායයාම් අනතුරු ඇඟවීම් නිකුත් කරයි
    #sri lanka #vfm news Radio Sinhala News Srilanka
    පෙර පුව​තඅත්තනගලු ඔය ජල මට්ටම ඉහළට- පැය 24 සඳහා අධි අවදානම් ගංවතුර ඇඟවීමක්
    ඊළඟ පුව​ත හදිසි ආපදා සම්බන්ධීකරණයට පොලිස් මෙහෙයුම් මැදිරියක් සිථාපිත කරයි

    සබැ​ඳි පුවත්

    වියට්නාම ජනපති අද දිවයිනට

    ප්‍රදේශ කිහිපයකට මිලිමීටර් 50ට වැඩි වැසි

    පිස්තෝලයක් සමග සැකකරුවෙක් අත්අඩංගුවට

    යාපනයේ පුද්ගල ඝාතනයක්

    “SkillUPGov” Youtube නාලිකාව ජනගත කෙරෙයි

    මෙන්න මේ ප්‍රදේශවලට මිලිමීටර් 75ට වැඩි වැසි

    • අගමැතිණිය ඉවත් විය යුතුද? නැද්ද? | V OPEN MIC

      අගමැතිණිය ඉවත් විය යුතුද? නැද්ද? | V OPEN MIC

    • 21 එනවද? | නුගේගොඩ ජනතාවගේ අදහස් | V OPEN MIC

      21 එනවද? | නුගේගොඩ ජනතාවගේ අදහස් | V OPEN MIC

    • ජනපති අනුර ගේ මතට තිතට - මුළු රටම එකට | V Open Mic

      ජනපති අනුර ගේ මතට තිතට - මුළු රටම එකට | V Open Mic

    • ජනපති අනුරගේ ජනප්‍රියත්වය ?

      ජනපති අනුරගේ ජනප්‍රියත්වය ?

    • අද උසාවි එන රනිල් ගැන මිනිස්සු කියන කතා | V OPEN MIC | 2025.08.26

      අද උසාවි එන රනිල් ගැන මිනිස්සු කියන කතා | V OPEN MIC | 2025.08.26

    • ජනපති අනුර දැන් හොඳයිද? | ජනහඬ විමසන ජනමත විමසුම | V OPEN MIC

      ජනපති අනුර දැන් හොඳයිද? | ජනහඬ විමසන ජනමත විමසුම | V OPEN MIC

    එසැණ පුව​ත්

    වියට්නාම ජනපති අද දිවයිනට

    2026-05-07

    ප්‍රදේශ කිහිපයකට මිලිමීටර් 50ට වැඩි වැසි

    2026-05-04

    පිස්තෝලයක් සමග සැකකරුවෙක් අත්අඩංගුවට

    2026-05-04

    යාපනයේ පුද්ගල ඝාතනයක්

    2026-05-04
    ක්‍රීඩා පුවත්

    මුම්බායි ඉන්ඩියන්ස් කණ්ඩායමට කඩුලු හයක ජයක්

    2026-03-30

    නීති ශිෂ්‍ය සංසදයේ බැඩ්මින්ටන් තරගාවලිය හෙට

    2026-03-28

    සංජු සැම්සන්ගෙන් වේගවත් පිතිහරඹයක් – නවසීලන්තයට 256ක ඉලක්කයක්

    2026-03-08
    • කෙහෙළිය CID අත්අඩංගුවට |  ප්‍රමිතියෙන් තොර එන්නත් ගෙන්වීම පිළිබඳ පැය දහයක ප්‍රකාශයක්

      කෙහෙළිය CID අත්අඩංගුවට | ප්‍රමිතියෙන් තොර එන්නත් ගෙන්වීම පිළිබඳ පැය දහයක ප්‍රකාශයක්

    • අපි පරදින සන්ධාන හදන්නෙ නෑ පි හැදුවොත් දිනන්නම තමයි මෙන්න මෛත්‍රී ගහපු රියල් ගේම් එක

      අපි පරදින සන්ධාන හදන්නෙ නෑ පි හැදුවොත් දිනන්නම තමයි මෙන්න මෛත්‍රී ගහපු රියල් ගේම් එක

    • මල්ලිලා දෙන්නෙක් හොර සල්ලි දෙනවා  ඔබත් අවධානයෙන් සිටින්න

      මල්ලිලා දෙන්නෙක් හොර සල්ලි දෙනවා ඔබත් අවධානයෙන් සිටින්න

    • රනිල්ට මොකක්ද හත්වලාමේ කරලා තියෙන්නේ පොලිසියත් අන්ද මන්ද වෙයි

      රනිල්ට මොකක්ද හත්වලාමේ කරලා තියෙන්නේ පොලිසියත් අන්ද මන්ද වෙයි

    • අද ඉන්නේ රූකඩ ජනාධිපතිවරයෙක් , රට මුදවාගන්න හැමෝම එකතුවෙමු

      අද ඉන්නේ රූකඩ ජනාධිපතිවරයෙක් , රට මුදවාගන්න හැමෝම එකතුවෙමු

    • වහාම ගුරුවරුන්ට යුක්තිය ඉටු කරන්නපොරොන්දු ඉටු කරන්න... තාම ඉටුකරලා නෑනැත්නම් අර්බුදය තවත් උත්සන්න

      වහාම ගුරුවරුන්ට යුක්තිය ඉටු කරන්නපොරොන්දු ඉටු කරන්න... තාම ඉටුකරලා නෑනැත්නම් අර්බුදය තවත් උත්සන්න

    Facebook Instagram YouTube

    ප්‍රවර්​ග

    • දේශීය පුව​ත්
    • ක්‍රී​ඩා
    • විදේශීය පුව​ත්
    • රසබ​ර
    • ව්‍යාපාරික පුව​ත්

    අහන්​න

    අපිට ලියන්න, කතාකරන්න

    • #327,GAMSABHA JUNCTION,
      HIGH LEVEL ROAD, NUGEGODA,
      SRI LANKA
    • 011 2814941
    • 011 5752222
    © 2026 Lanka Television Network (Pvt) Ltd. Developed by Accio.LK.
    • වෙබ් දැනුම්දීම්
    • ප්‍රවේශ්‍යතා මෙවලම්

    ඔබට සෙවුමට අවශ්‍යය වචනය හෝ වාක්‍යය කොට​ස ඉහතින් සදහන් කර Enter ඔබන්න, ඉවත්වීමට Esc ඔබන්න.

    WhatsApp Group