පවතින වැසි සහිත කාලගුණ තත්ත්වයේ සැලකිය යුතු අඩුවීමක් හෙට සිට අපේක්ෂා කරන බව කාලගුණ විද්යා දෙපාර්තමේන්තුව පවසනවා.
නවතම නිවේදනයක් නිකුත් කරමින් එම දෙපාර්තුමේන්තුව මේ බව සදහන් කළා.
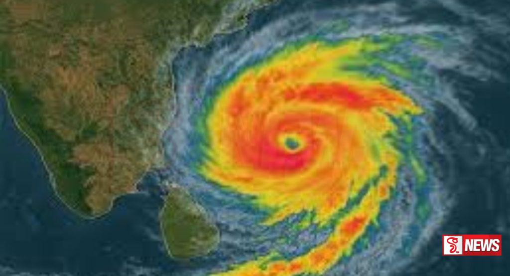
දිට්වා සුළි කුණාටුව උතුරට බරව වයඹ දෙසට ගමන්කර නොවැම්බර් මස 30 වෙනිදා වනවිට ඉන්දියාවේ තමිල්නාඩු වෙරළ තීරයට ළඟාවනු ඇතැයි ද අපේක්ෂා කෙරෙනවා.
එම දෙපාර්තමේන්තුව වැඩිදුරටත් සඳහන් කළේ, එම පද්ධතිය ඊයේ දින ප.ව. 11:30 වන විට ත්රිකුණාමලය සිට කිලෝමීටර් 70ක් වයඹ දෙසින්, අක්ෂාංශ 9.0 සහ දේශාංශ 80.8 ආසන්නයේ කේන්ද්රගතව වී තිබූ බවයි..
කාලගුණවිද්යා දෙපාර්තමේන්තුව මඟින් මේ සම්බන්ධව නිකුත් කරන ඉදිරි නිවේදන පිළිබඳ අවධානය යොමුකරන ලෙසද ජනතාවට දැනුම්දෙනවා..
මේ අතර අද දිනයේ උතුරු, උතුරු-මැද, මධ්යම සහ වයඹ පළාත්වල නිරන්තර වැසි හෝ ගිගුරුම් සහිත වැසි ඇති විය හැකියි.
ඇතැම් ස්ථානවලට මි.මී. 100ට වැඩි තද වැසි ඇතිවිය හැකි බවයි එම දෙපාර්තුමේන්තුව සදහන් කළේ.
සබරගමුව සහ බස්නාහිර පළාත් සහ ගාල්ල සහ මාතර දිස්ත්රික්කවල විටින්විට වැසි හෝ ගිගුරුම් සහිත වැසි ඇත වන බවද එම දෙපාර්තුමේන්තුව පවසනවා.
සබරගමුව සහ බස්නාහිර පළාත්වල ඇතැම් ස්ථානවලට මි.මී. 50ට වැඩි තරමක තද වැසි ඇති විය හැකියි.
දිවයිනේ බොහෝ ප්රදේශවල පැ.කි.මී. 60-70 දක්වා වන ඉතා තද සුළං සමඟ විටින් විට පැ.කි.මී. 80-90 දක්වා වන ප්රහාරාත්මක සුළං ඇතිවිය හැකි බවද එම දෙපාර්තුමේන්තුව අවධාරණය කරනවා.
තද වැසි සහ තද සුළං මඟින් සිදුවන අනතුරු අවම කරගැනීමට අවශ්ය පියවර ගන්නා ලෙසයි කාලගුණවිද්යා දෙපාර්තමේන්තුව ජනතාවට දැනුම් දෙන්නේ.
මේ පවතින කාළගුණ තත්ත්වය සම්බන්ධයෙන් අදහස් දැක්වූ කාළගුණ විද්යා දෙපාර්තුමේන්තුවේ අණාවැකි අංශයේ නියෝජ්ය අධ්යක්ෂ ප්රීතිකා ජයකොඩි මහත්මිය.
උණුසුම් පුවත්
- රනිල් සිංගප්පූරුව බලා පිටත්ව යයි
- බුද්ධ ප්රතිමාවක් සහ මැණික් ගල් සමග සැකකාරියන් තිදෙනෙක් ඇතුළු 5ක් අත්අඩංගුවට
- බිලියන 3ක හෙරොයින් එක්ක බහුදින යාත්රාක් දික්ඕවිට වරායට
- සෞදි අරාබිය ප්රහාරක ඩ්රෝන ප්රහාරක යානා 23 ක් බිම හෙළයි
- ඩුබායි ගුවන්තොටුපළ අසලට දැවැන්ත ප්රහාරයක්
- රෝහල් ගත කිරීමෙන් පසු පුද්ගලයෙකු මරුට
- ප්රදේශ කිහිපයක පස්වරු 2න් පසු වැසි
- හිටපු කතානායක අසෝක රන්වලට වරෙන්තු














